XML

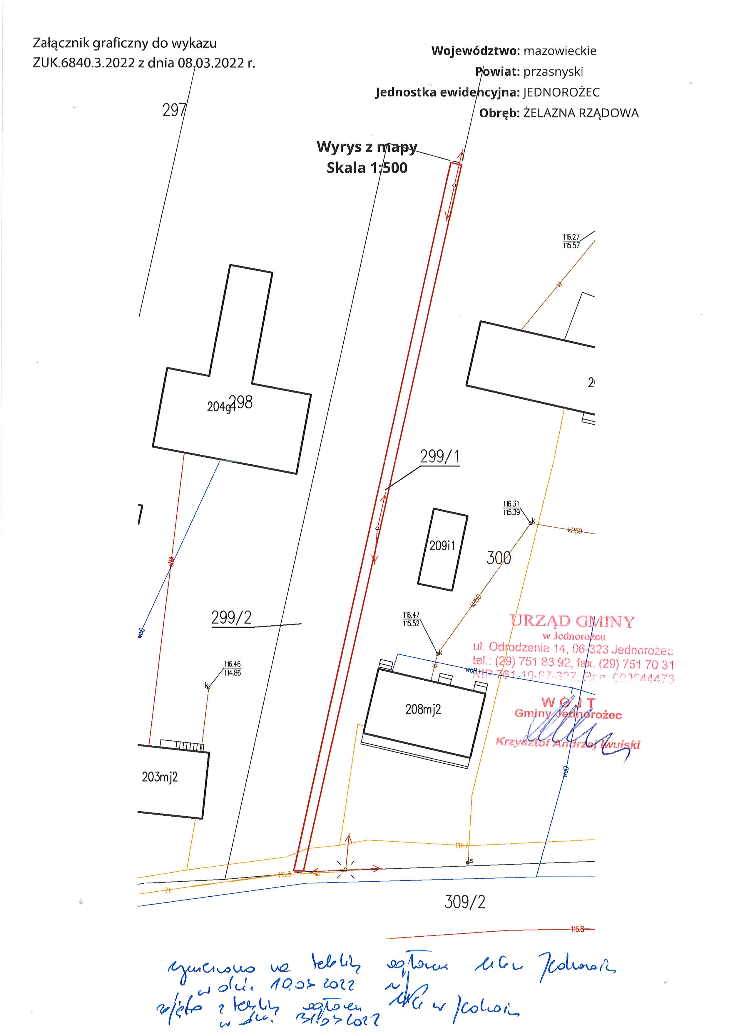
WYKAZ zajętej nieruchomości gruntowej przeznaczonej do sprzedaży w drodze bezprzetargowej - dz nr 299/1 w obrębie geodezyjnym Żelazna Rządowa

Załączniki:
Nazwa plikuTyp plikuRozmiar
Mapa sytuacyjna Plik image 541.65 KB
Zarządzenie Plik pdf 66.79 KB
wykaz Plik image 1.30 MB
Podmiot publikującyUrząd Gminy w Jednorożcu
WytworzyłKrzysztof Andrzej Iwulski - Wójt Gminy Jednorożec2022-03-08
Publikujący Krzysztof Nizielski - Administrator BIP 2022-03-08 12:23
Modyfikacja Krzysztof Nizielski - Administrator BIP 2022-03-08 13:29